Sluit menu
Yvimat | Grond | 2566ebb7-3b2b-43a9-b...
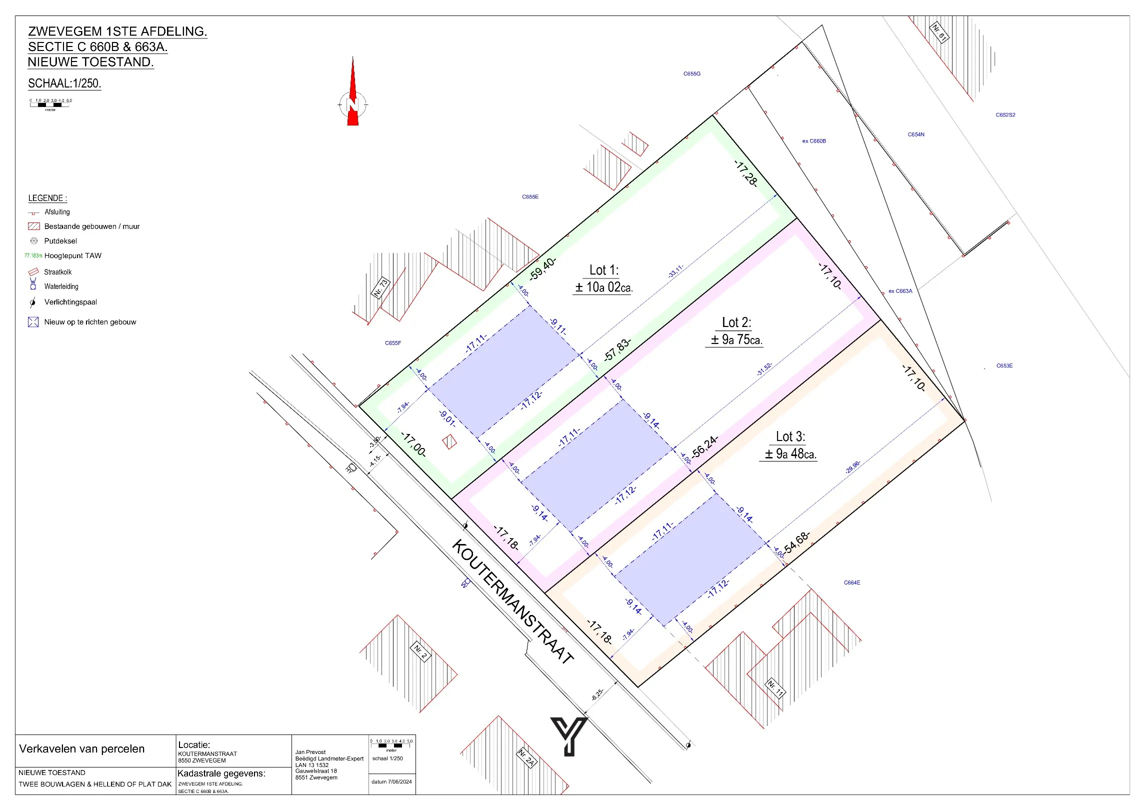
BOUWGROND VOOR EEN OPEN BEBOUWING OP 1.002 M²
Op zoek naar een uniek perceel bouwgrond op 1.002 m² gelegen tussen Zwevegem en Bellegem op een boogscheut van alle nodige faciliteiten en invalswegen, dan is dit uw kans!
Het perceel leent zich perfect voor het bouwen van een alleenstaande villa met 2 bouwlagen en dak. Er is GEEN BOUWVERPLICHTING aanwezig. Heeft u de bouwkriebels te pakken? Contacteer ons gerust en we nodigen u graag uit bij ons op kantoor om de opties te bekijken, tot dan!
Het perceel leent zich perfect voor het bouwen van een alleenstaande villa met 2 bouwlagen en dak. Er is GEEN BOUWVERPLICHTING aanwezig. Heeft u de bouwkriebels te pakken? Contacteer ons gerust en we nodigen u graag uit bij ons op kantoor om de opties te bekijken, tot dan!
Lees meer
Algemene informatie
Gemeente
8550 Zwevegem
Referentie
TK/2003
Type
Grond
Beschikbaarheid
Bij akte
Type constructie
Traditioneel
Aantal facades
4
Perceeloppervlakte
1002 m²
Breedte perceel
17m
Diepte perceel
59.4m
Wettelijke gegevens
Evaluatie
Riolering
Ja
Gas
Ja, Aardgas voor de deur
Orientatie tuin
Noord-Oost
Een afspraak is zo geregeld.
Tot snel!
Om u zo goed mogelijk te kunnen helpen, vragen wij u om alle velden van dit formulier in te vullen.